Prime Shops at Wolff Crossing

Prime Shops at Wolff Crossing

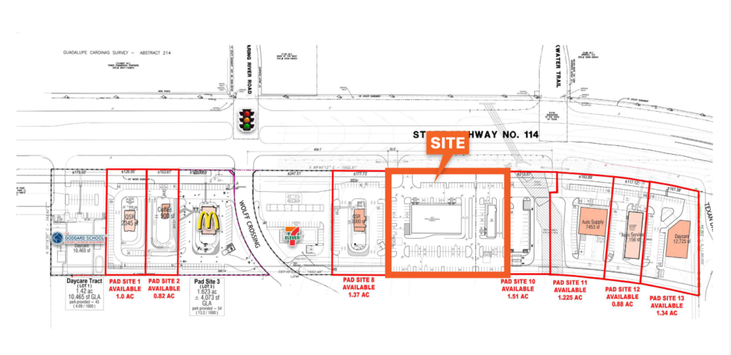
Fort Worth, TX

PROPERTY INFORMATION

Strategic North Fort Worth location near the AllianceTexas corridor, one of DFW’s fastest growing industrial and residential submarkets.

Convenient connectivity to I-35W, SH-114, and SH-170, supporting regional distribution, retail, or mixed-use potential

Surrounded by rooftops and employment growth, with continued residential development and major corporate users in the immediate trade area.

9 acres of scale allowing flexibility for retail, medical, industrial, or mixed-use development, subject to zoning and utilitie

Texas law requires all real estate licensees to give the following information about brokerage services to prospective buyers, tenants, sellers and landlords.

AREA RETAILERS

H-E-B, Walmart Supercenter, Target, Costco, Academy Sports + Outdoors, Best Buy, Home Depot, Lowe’s, Ross Dress for Less, Marshalls, TJ Maxx, PetSmart, Ulta Beauty, Burlington, Five Below, Dick’s Sporting Goods, Hobby Lobby, Michaels, Old Navy, Famous Footwear, Carter’s, Bath & Body Works, Nike Factory Store, Adidas Outlet, Levi’s Outlet, Kate Spade Outlet, Under Armour Factory House

Invest With Us